McKinney and Yeti Fires – August 3, 2022

McKinney and Yeti fires

Maps: Zeke Lunder

Captions: Ryan Stephens


Table of Contents:

  1. Mckinney and Yeti Fire Weather Forecast
  2. McKinney Fire
  3. Yeti Fire

Mckinney and Yeti Fire Weather Forecast:

 


—McKinney Fire—

#McKinneyFire

McKinney Fire Behavior Forecast:


 

McKinney Infrared Lookout Maps:

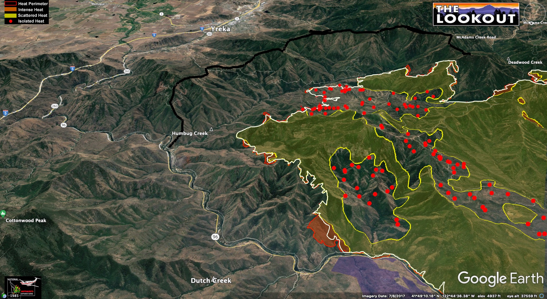
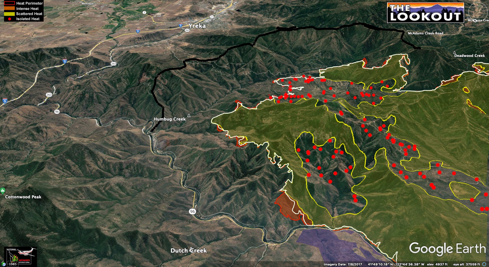
Areas shaded Yellow are where the fire is cooling down. Red to white perimeter lines represent approximately 12 hours growth over the last period of mapping from 10:30am to 10:30pm on August 2. Areas shaded RED are where the fire is most active. BLACK lines are dozer lines that may or may not have been completed. Area shaded in BLUE is the 2014 Beaver Fire.

Looking northeast on the western side of the fire in divisions A and D. Growth throughout the fire has been subdued by recent precipitation and an increase in humidity. As things start to dry out, there’s an expectation of increased fire behavior.

Looking north over Highway 96 on the Northwest side of the fire in division P and R. Red dots and red fill within the perimeter of the fire show isolated heat in unburned interior pockets, mostly along the south and east sides of the Klamath River. Flashy fuels in the 2014 Beaver Fire footprint continue to produce periods of growth.

Looking south toward Yreka. More interior pockets of heat. Dozer line in BLACK appears to be nearing completion, except for a short but steep section connecting it in to Humbug creek near the Klamath river.

Looking northeast over Indian Creek Baldy. Fire made a brief run in sparse available fuels up the northwest side of Indian Creek Baldy. Ridge top dozer lines in BLACK.

—Yeti Fire (aka China2)—

 

 

Yeti Fire Behavior Forecast:



Yeti Infrared Lookout Maps:

Areas shaded Yellow are where the fire is cooling down. Red to white perimeter lines represent approximately 12 hours growth over the last period of mapping from 10:30am to 10:30pm on August 2. Areas shaded RED are where the fire is most active. BLACK lines are dozer lines that may or may not have been completed. Area shaded BLUE is the 2014 Frying Pan Fire.

Looking west over the Klamath River at the west side of the fire. The fire continues to backing and flanking down toward the Klamath River and Highway 96. No spots across the river into the 2020 Slater Fire footprint at the time of mapping.

Looking south there has been little growth on the north end of the fire.

Looking southwest.

***END MCKINNEY AND YETI FIRES